Жителям «Митниці» презентували проект нової вулиці. У вівторок, 7 червня відбувся тендер на будівництво вулиці Героїв Дніпра. Менш ніж за 10 днів визначать його переможця, а вже за 20 – розпочнеться будівництво. Про це повідомив міський голова Анатолій Бондаренко під час звітно-виборчої конференції КСН «Митниця», пише zmi.ck.ua
За його словами, проект реконструкції вулиці Героїв Дніпра є одним з найважливіших проектів. Спершу роботи розпочнуться на ділянці від вул. Жужоми до вул. Б. Хмельницького. Потому – вулиця Жужоми. Наступний етап – решта вулиці Героїв Дніпра.

«Цього року ми хочемо повністю завершити роботи на вулиці. Вона буде повноцінною: з тротуаром, велосипедною доріжкою, зупинками, щоб кожен житель міг проїхати до Дніпра, на відпочинок. Окрім того, у вівторок відбувся тендер на капремонт вулиці Смілянська, від літака до виїзду з міста», - зазначив мер.
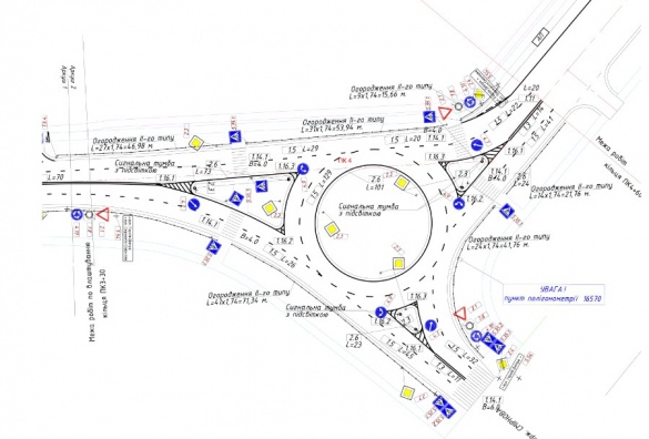
За словами архітектора Адама Заїки, протяжність дороги 800 м, а ширина проїжджої частини – 8 м. Вздовж вулиці передбачені зупинки на тих місцях, де звикли жителі. Вздовж пляжу розташують місця для тимчасової стоянки автівок. Тротуари будуть по обидва боки дороги, а також передбачена велодоріжка.

Район будинків № 63-65
«На перетині вулиці з вул. Богдана Хмельницького буде кільцева розв’язка. Тож автівки літати не будуть, а людям буде зручно переходити дорогу», - повідомив Адам Заїка.

Кільце на перетині з вул. Богдана Хмельницького
Покриття від вулиці Богдана Хмельницького до Смірнова залишать і покращать. На цьому відрізку ширина дороги складає 15 м. На перетині з вул. Смірнова також передбачене кільце.


Кільце на перетині з вулицею Смірнова
По всій вулиці передбачена або реконструкція, або будівництво зливової каналізації, щоб після дощу на дорозі не утворювалися величезні калюжі. Зливоприймальники – через кожні 50 м.
За принципом максимум уваги пішоходам, між тротуаром і проїжджою частиною хочуть встановити парканчик.
Під час конференції КСН «Митниця» жителі попросили не розташовувати пішохідні переходи поряд із зупинками громадського транспорту, так як є на вулиці Гагаріна та Громова.
Один з проектантів Олександр Гула запевнив, що для громадського транспорту на зупинках заплановані «кишені», розмір яких 3,75 м. Пішохідний перехід розташований за 20 м від зупинки.

Дорога біля "Живчика"
Також містян турбує питання благоустрою пляжу. За словами директора департаменту архітектури, містобудування та інспектування Артура Савіна, усі роботи по прибережній зоні будуть передбачені детальним планом розбудови даної території. У проекті вулиці і у кошторисній частині будівництво і вирівнювання пляжу не передбачено.

Коментарі
Стрічка RSS коментарів цього запису